조황관리HOME / 조황관리 / 상세정보

제목 : ■라온피싱■ 모항항 출항 <갑오징어 전문 출조>11월23일
등록일 : 2024-11-23



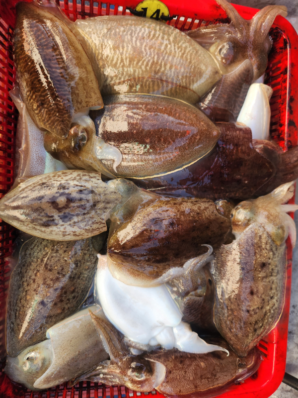
■라온피싱■ <갑오징어 전문 출조>

오전에는 낮은 포인트 20호 봉돌로 공략

점심 먹고 바로 50미터권 공략

갑오징어 시즌 마무리 시기 인데도
기대만큼 나와줘서 즐겁게 낚시하고 입항


1000008557.jpg


1000008553.jpg


1000008552.jpg


1000008550.jpg


1000008549.jpg


1000008548.jpg


1000008561.jpg


1000008562.jpg


1000008556.jpg


1000008555.jpg

 

======= 태안 라온호 예약안내 =======

오시는길 : 충남 태안군 소원면 파도리 130-65
예약문의 : 010-6802-1155
홈페이지 : www.raonfishing.com
Top